Giżycko (gw), Kożuchy Wielkie

Działka na sprzedaż

Opis nieruchomości

OFERTA BEZPOŚREDNIA, KUPUJĄCY NIE PŁACI PROWIZJI!

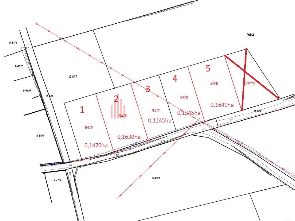
Kompleks 6 działek rolno-budowlanych położonych w Kożuchach Wielkich, gmina Giżycko, województwo warmińsko-mazurskie.

DZIAŁKA NR 1 O POWIERZCHNI 0,1470ha ZA CENĘ 110.000ZŁ

DZIAŁKA NR 2 O POWIERZCHNI 0,1630ha ZA CENĘ 105.000ZŁ

DZIAŁKA NR 3 O POWIERZCHNI 0,1245ha ZA CENĘ 85.000ZŁ

DZIAŁKA NR 4 O POWIERZCHNI 0,1345ha ZA CENĘ 79.900ZŁ


DZIAŁKA NR 5 O POWIERZCHNI 0,1641ha ZA CENĘ 106.000ZŁ

Działki położone są w bezpośrednim sąsiedztwie działek niezabudowanych i zabudowanych.

Media: prąd – na działce, woda – w działce, kanalizacja - szambo, w późniejszym czasie możliwość podłączenia do sieci, gaz – własna butla.

Dojazd drogą utwardzoną.

Działka jest niezagospodarowana i nieogrodzona. Kształt działki, zbliżony do prostokąta.

DZIAŁKI POSIADAJĄ DECYZJĘ O WARUNKACH ZABUDOWY NA BUDOWĘ BUDYNKU MIESZKALNEGO JEDNORODZINNEGO WRAZ Z GARAŻEM W BRYLE BUDYNKU.


Nieruchomość znajduje się w odległości około 7 km od Giżycka.

Giżycko - 
Sześć jezior w mieście, 11 w okolicy. Nie bez kozery Giżycko jest nazywane żeglarską stolicą Mazur. W Giżycku znajduje się przystań statków Żeglugi Mazurskiej. Statki pływają po okolicznych jeziorach oraz do Węgorzewa i Mikołajek.

JEZIORO KRUKLIN - zbiornik   o   rozwiniętej   linii   brzegowej,   z   wieloma   zatokami, półwyspami i pięcioma niewielkimi wyspami, dwie z nich leżą w środkowej części jeziora południowych brzegów.

Na jeziorze Kożuchy znajduje się rezerwat Mewy Śmieszki. 
We wsi znajduje się otwarta siłownia i plac zabaw dla dzieci. 

Ornitologiczny rezerwat przyrody Jezioro Kożuchy – rezerwat przyrody założony w 1963 roku. Znajduje się w województwie warmińsko - mazurskim, w powiecie giżyckim, gminie Giżycko. Jest to jedna z największych kolonii mewy śmieszki w Polsce, występują tu także błotniak stawowy, kania czarna, łabędź niemy, remiz, cyraneczka, krakwa, świstun, rożeniec, głowienka, czernica, podgorzałka, gągoł, mewa mała, perkoz zausznik, perkozek.  Na terenie rezerwatu występuje bujna roślinność wodna i błotna. Mewy swoje stanowiska lęgowe zakładają na pływających wyspach.

CENA: 110 000 zł DO NEGOCJACJI!

Link do filmu YouTube:
https://www.youtube.com/watch?v=HkcVmycqgac



WSPÓŁPRACUJEMY Z WIELOMA BANKAMI, BEZPŁATNIE BADAMY ZDOLNOŚĆ KREDYTOWĄ I POMAGAMY Z FORMALNOŚCIAMI AŻ DO URUCHOMIENIA KREDYTU! 

Zapraszam serdecznie, tel. 517-520-191, 
więcej na www.nieruchomosci-nowydom.pl

Nota prawna

Opis oferty zawarty na stronie internetowej sporządzany jest na podstawie oględzin nieruchomości oraz informacji uzyskanych od właściciela, może podlegać aktualizacji i nie stanowi oferty określonej w art. 66 i następnych K.C.

Szczegóły oferty

Symbol oferty NDG-GS-1437
Powierzchnia 1 345,00 m²
Standard
Stan prawny własność
Zagosp. działki niezagospodarowana
Ukształtowanie działki płaska
Kształt działki prostokąt
Ogrodzenie działki brak
Gaz własna butla
Woda wodociąg
Dojazd asfalt
Otoczenie działki niezabudowane
Położenie na wsi
Prąd na działce
Kanalizacja szambo

Lokalizacja

Kalkulator kredytowy

PLN
%
Wysokość raty

Kalkulator kosztów

PLN
PLN
PLN
PLN
PLN
PLN
%
PLN
Podatek od czynności cywilno-prawnych
Taksa notarialna (opłata notarialna)
VAT od taksy notarialnej (opłaty notarialnej)
Wniosek do WKW
VAT od wniosku do WKW
Prowizja agencji nieruchomości
VAT od prowizji agencji nieruchomości
Wypisy aktu notarialnego - około
RAZEM (cena + opłaty)

Podobne oferty

bez prowizji
działka na sprzedaż - Giżycko (gw), Kożuchy Wielkie

działka na sprzedaż

Giżycko (gw), Kożuchy Wielkie
  1 500,00 m2 50,00 zł/m2
bez prowizji
video
działka na sprzedaż - Giżycko (gw), Spytkowo

działka na sprzedaż

Giżycko (gw), Spytkowo
  1 210,00 m2 73,55 zł/m2
bez prowizji
video
działka na sprzedaż - Giżycko (gw), Kożuchy Wielkie

działka na sprzedaż

Giżycko (gw), Kożuchy Wielkie
  2 000,00 m2 32,50 zł/m2
bez prowizji
video
działka na sprzedaż - Giżycko (gw), Kożuchy Wielkie

działka na sprzedaż

Giżycko (gw), Kożuchy Wielkie
  1 503,00 m2 65,87 zł/m2

Napisz do nas

Proszę wypełnić to pole
Proszę wypełnić to pole
Proszę wypełnić to pole
Proszę wypełnić to pole
Trwa wysyłanie...

Ta strona wykorzystuje pliki cookies w celach statystycznych oraz w celu dostosowania naszych serwisów do indywidualnych potrzeb klientów. Zmiany ustawień dotyczących plików cookie można dokonać w dowolnej chwili modyfikując ustawienia przeglądarki. Korzystanie z tej strony bez zmian ustawień dotyczących cookies oznacza, że będą one zapisane w pamięci urządzenia.

rozumiem